Commercial Property for Sale – The Dickie Bird, Long Lee, Keighley, BD21 4SQ -
POA
POA
This property is not currently available. It may be sold or temporarily removed from the market.
Commercial Property for Sale – The Dickie Bird, Long Lee, Keighley, BD21 4SQ
POA
POA
Availability: For Sale
Property Type: Commercial
Property Features
- Asset of Community Value (ACV) Restriction
- “The Dickie Bird” provides an exciting opportunity to acquire an established pub serving a thriving local community
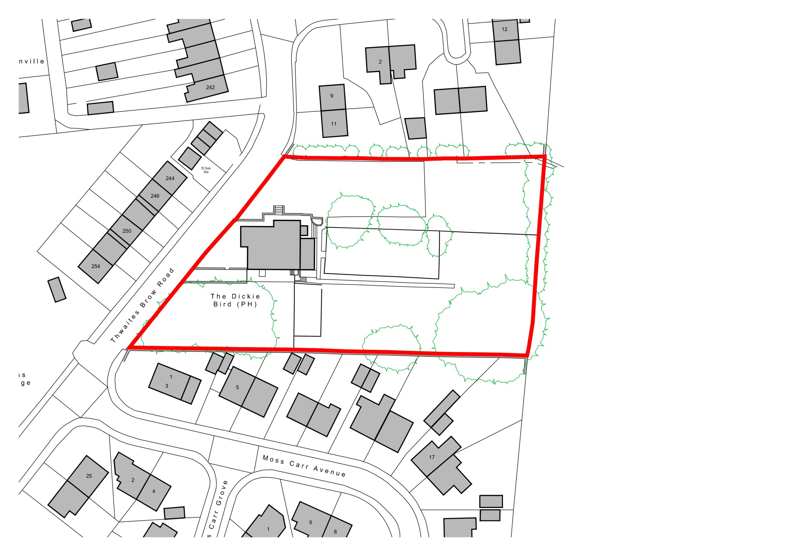
- The premises stand at the eastern edge of Long Lee
- Providing pleasant indoor and outdoor seating areas
Property Summary
Asset of Community Value (ACV) Restriction
“The Dickie Bird” provides an exciting opportunity to acquire an established pub serving a thriving local community. The premises stand at the eastern edge of Long Lee providing pleasant indoor and outdoor seating areas.
Location
“The Dickie Bird” sits at the edge of Long Lee close to the larger neighbouring town of Keighley. The majority of custom is from the local community with “The Dickie Bird” being the only pub within Long Lee.
Description
The building is entered from the north via a porch and lobby into a spacious hall. To the right-hand side is a large lounge bar and primary seating area with plenty of windows and direct access from a separate external door and lobby.
The tap room provides further seating within a more compact space having tiled floors and direct access to both the bar and external seating area. The bar is situated between the lounge and tap room with access to the cellar.
Accessed via the hall are separate male and female toilet facilities. The hall also gives access to a useful kitchen and store area.
The first floor apartment comprises a generous family living room with fireplace and base storage units. The well appointed kitchen provides a range of wall and base units, laminate worktops and a stainless steel sink and drainer. There is a four ring hob with oven and extractor fan, tiled splash back and plumbing for washing machine, dishwasher and dryer.
Within the apartment are two double bedrooms and and a useful office. The bathroom has a bath with shower over, w.c., hand wash basin and fitted storage units.
Outside
The property is accessed directly from Thwaites Brow Road into a large private car park. Adjacent to the pub is an impressive and well-maintained beer garden providing a pleasant outdoor seating area.
Restriction on Use
The property has been identified by the Local Authority as an Asset of Community Value (ACV) and as such its existing use is protected.
Any Community Organisation wishing to be considered as a potential bidder has until Friday 14th November 2025 to register their interest with the selling agent.
Overage
The property is sold subject to an overage clause in relation to future residential and commercial change of use that will entitle the vendors and their successors in title to 50% of any uplift generated by the grant of planning permission for change of use. The term of the overage clause will be for a period of 30 years from the date of completion of the sale
VAT
We understand the property has been ‘opted to tax’. If the property is purchased as a going concern the purchase price will not be subject to VAT.
Services
We understand the property is connected to mains electricity, mains water and mains drainage.
UPVC double glazing.
Tenure
Freehold. Vacant possession on completion.
Directions
Heading south on Park Lane leaving Keighley continue onto Long Lee Lane and then Thwaites Brow Road the Dickie Bird pub is on the right.
“The Dickie Bird” provides an exciting opportunity to acquire an established pub serving a thriving local community. The premises stand at the eastern edge of Long Lee providing pleasant indoor and outdoor seating areas.
Location
“The Dickie Bird” sits at the edge of Long Lee close to the larger neighbouring town of Keighley. The majority of custom is from the local community with “The Dickie Bird” being the only pub within Long Lee.
Description
The building is entered from the north via a porch and lobby into a spacious hall. To the right-hand side is a large lounge bar and primary seating area with plenty of windows and direct access from a separate external door and lobby.
The tap room provides further seating within a more compact space having tiled floors and direct access to both the bar and external seating area. The bar is situated between the lounge and tap room with access to the cellar.
Accessed via the hall are separate male and female toilet facilities. The hall also gives access to a useful kitchen and store area.
The first floor apartment comprises a generous family living room with fireplace and base storage units. The well appointed kitchen provides a range of wall and base units, laminate worktops and a stainless steel sink and drainer. There is a four ring hob with oven and extractor fan, tiled splash back and plumbing for washing machine, dishwasher and dryer.
Within the apartment are two double bedrooms and and a useful office. The bathroom has a bath with shower over, w.c., hand wash basin and fitted storage units.
Outside
The property is accessed directly from Thwaites Brow Road into a large private car park. Adjacent to the pub is an impressive and well-maintained beer garden providing a pleasant outdoor seating area.
Restriction on Use
The property has been identified by the Local Authority as an Asset of Community Value (ACV) and as such its existing use is protected.
Any Community Organisation wishing to be considered as a potential bidder has until Friday 14th November 2025 to register their interest with the selling agent.
Overage
The property is sold subject to an overage clause in relation to future residential and commercial change of use that will entitle the vendors and their successors in title to 50% of any uplift generated by the grant of planning permission for change of use. The term of the overage clause will be for a period of 30 years from the date of completion of the sale
VAT
We understand the property has been ‘opted to tax’. If the property is purchased as a going concern the purchase price will not be subject to VAT.
Services
We understand the property is connected to mains electricity, mains water and mains drainage.
UPVC double glazing.
Tenure
Freehold. Vacant possession on completion.
Directions
Heading south on Park Lane leaving Keighley continue onto Long Lee Lane and then Thwaites Brow Road the Dickie Bird pub is on the right.














